|
Jinvalis (nasoflari) dedacixis
kompleqsi
(XI-XII ss)
1. kompleqsSi Semavali nagebobebi
2. mniSvnelovani informacia
3. adgilmdebareoba
4. ruka
5. istoriuli mimoxilva
6. legendebi, Tqmulebebi da zepirsityvieri gadmocemebi
7. arqiteqturuli aRwera
8. Zeglis statusi da mdgomareoba
9. gamoyenebuli masalebi da bibliografia
10. marSruti
11. bmulebi
1. kompleqsSi Semavali nagebobebi
ზურგიანი კოშკი, ეკლესია, მარანი, თონე, ნაგებობანი.
2. mniSvnelovani da saintereso informacia
ჟინვალის დედაციხის კომპლექსში შემავალი ზურგიანი კოშკი, ამ ტიპის ნაგებობათა შორის ერთ-ერთი უდიდესი ნაგებობა საქართველოში (ზომები ფუძის დონეზე: 13X11 მ; სიიმაღლე 18,7მ; კედლის სისქე 2,5 მ).
3. adgilmdebareoba
ჟინვალის დედაციხის კომპლექსი მდებარეობდა საქართველოში, მცხეთა–მთიანეთის მხარეში, დუშეთის მუნიციპალიტეტში, მისგან ჩრდილოეთით 11 კმ–ში, წყალსაცავით დატბორილ ტერიტორიაზე მდებარე ნასოფლარ ჟინვალის ჩრდილო–აღმოსავლეთით, მდინარე არაგვის მარჯვენა ნაპირზე და მოქცეულია წყალსაცავით დატბორილ ზონაში.
4. ruka

5. istoriuli mimoxilva
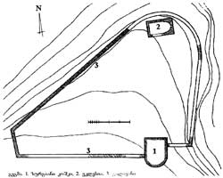
ჟინვალის დედაციხის კომპლექსში შედიოდა ზურგიანი კოშკი, დარბაზული ეკლესია, სასახლე და მარანი, რომლებსაც გარს ევლებოდა თითქმის სამკუთხა მოხაზულობის გალავანი (ფართობი დაახლოებით 3500 კვ.მ.). 1972-74 წლებში და 1983 წელს აკად. ივ. ჯავახიშვილის სახ. ისტორიის, არქეოლოგიისა და ეთნოგრაფიის ინსტიტუტის არქეოლოგიური კვლევის ცენტრის ჟინვალის არქეოლოგიური ექსპედიციის მიერ ჩატარებული გათხრების შედეგად (რაზმის ხელმძღვანელი ზ. კალანდაძე) კოშკსა და ეკლესიას შორის, გალავნის აღმოსავლეთ კედლის გასწვრივ, აღმოჩნდა მარანი (22X8,5 მ) ოცი ქვევრით, ხოლო სამხრეთ კედლის წინ - მოზრდილი ქვითკირის ნაგებობის (შესაძლოა სასახლის) კედლის ნაშთი (სიგრძე 23 მ., სისქე 1 მ), გარდა ამისა აღმოჩნდა გვიანდელი შუა საუკუნეების რამდენიმე ნაგებობა და ცხრა თონე. ნაგებობათაგან უადრესი იყო ზურგიანი კოშკი (XI-XII სს) ეკლესია, სასახლე, მარანი და გალავანი XIII-XIV სს. განეკუთვნებოდა.
1985 წელს ჟინვალის წყალსაცავის მშენებლობის გამო კომპლექსის ზურგიანი კოშკი აფეთქებით დაშალეს და ქვები გადაიტანეს სოფელ არანისის ტერიტორიაზე.
კომპლექსი ამჟამად დაფარულია წყლით - 1985 წლიდან მოქცეულია ჟინვალჰესის წყალსაცავით დატბორილ ზონაში.
6. legendebi, Tqmulebebi da zepirsityvieri gadmocemebi
არ მოგვეპოვება.
7. arqiteqturuli aRwera
 |
| gengegma |
ა) დედაციხის კომპლექსში შემავალი ზურგიანი კოშკი ნაგები იყო მოზრდილი ზომის ნატეხი ქვითა და დუღაბით. შემორჩენილი იყო ხუთი სართული. ამ ტიპის ნაგებობათა შორის ერთ-ერთი უდიდესი ნაგებობა საქართველოში (ზომები ფუძის დონეზე: 13X11 მ; სიიმაღლე 18,7 Sმ; კედლის სისქე 2,5 მ) ჩართული იყო მოგვიანებით აგებული გალავნის სამხრეთ კედელში ისე, რომ ზურგის ნაწილი გალავნის ხაზს გარეთ ჰქონდა მოქცეული. 1985 წელს ჟინვალის წყალსაცავის მშენებლობის გამო კოშკი აფეთქებით დაშალეს და ქვები გადაიტანეს სოფელ არანისის ტერიტორიაზე. კოშკს ერთადერთი შესასვლელი II სართულის დონეზე, პირის მხარეს (ჩრდილოეთით) ჰქონდა მოწყობილი. I სართული ყრუკედლებიანი იყო და სამეურნეო დანიშნულებისათვის გამოიყენებოდა. იგი დაბალი კედლებით რამდენიმე ნაწილად იყო დაყოფილი (მარანი, საყინულე, ორმო, სურსათის შესანახი და სხვა.) II სართულს შესასვლელის გარდა სხვა არქიტექტურული ელემენტი არ ჰქონია. III სართულის გვერდით კედლებში და პირის მხარეს თითო მოზრდილი ზომის სწორკუთხა სარკმელი იყო მოწყობილი. სარკმლებს საფეხურებად დამუშავებული ძირი ჰქოდათ. მსგავსად იყო გადაწყვეტილი IV სართულიც. V სართულის ყოველ მხარეს თითო ფართო ღიობი იყო მოწყობილი, რომელიც ხის აივანზე გადიოდა (შემორჩენილი იყო აივნის საყრდენი კიჭების ბუდეები). კოშკის ხის სართულშუა გადახურვა სართულებსშორის მოწყობილ საფეხურს ეყრდნობოდა. საფეხური ყოველი მომდედვნო სართულის კედლის სისქის შემცირებით იყო შექმნილი. კოშკის შიგნით გამოვლინდა მოუჭიქავი და მრავალფრად მოჭიქული თიხის ჭურჭლის, სულთანაბადური ფაიანსის, მინის ჭურჭლისა და სასარკმლე მინის უამრავი ნატეხი, ბრინჯაოსა და ძვლის ნივთები და სხვა. არქეოლოგიური მასალის ნაწილი დაცულია დუშეთის მხარეთმცოდნეობის მუზეუმში, ნაწილი - აკც-ის დუშეთის არქეოლოგიურ ბაზაში.
 |
 |
| ganakveTi aRm-ken |
CrdiloeT fasadi |
ბ) დედაციხის კომპლექსში შემავალი ეკლესია (12X7,5 მ) მდებარეობდა კოშკის ჩრდილო-აღმოსავლეთით, 20 მ-ზე, გალავნის ჩრდილო-აღმოსავლეთ კუთხესთან. იგი თითქმის მთლიანად იყო დანგრეული. შემორჩენილი იყო აღმოსავლეთ კედელი (სიმაღლე 4-5 მ) და დანარჩენი კედლები 0,8-0,9 მეტრზე. ნაგებობის აღმოსავლეთ კედელი შეიცავდა ორ სამშენებლო ფენას. თავდაპირრველი ნაწილი (სიმაღლე 1.3 მ) სხვადასხვა ზომის ნატეხი ქვებით იყო ნაგები, მოგვიანებით ნაგები ნაწილი კი ნატეხი ქვითა და აგურით. ეკლესიას ორი შესასვლელიდან ერთი ჰქონდა დასავლეთის ღერძზე, ხოლო მეორე (მოგვიანებით ამოუშენებიათ) - სამხრეთ კედლის დასავლეთ ნაწილში. გეგმით თითქმის ნახევარწრიული ფორმის აფსიდის ღეძზე მაღალი თაღოვანი სარკმელი იყო გაჭრილი. სარკმლის ქვემოთ, კედელთან, შემორჩენილი იყო რიყის ქვით ნაგები ოთხკუთხა ტრაპეზის ნაშთი. აფსიდსა და სამივე კედელს საფეხური გასდევდა. აფსიდის სივრცე დარბაზისაგან რიყისა და ნატეხი ქვით ნაწყობი კანკელით იყო გამოყოფილი. მოგვიანებით ეკლესიისათვის ჩრდილოეთის მხრიდან ნახევარკონუსის ფორმის კონტრფორსი მიუშენებიათ.
8. Zeglis daqvemdebareba da statusi
ჟინვალის დედაციხის კომპლექსში შემავალი ეკლესია თავისი ადგილმდებარეობის მიხედვით წილკნისა და დუშეთის ეპარქიის დაქვემდებარებაშია.
9. gamoyenebuli masalebi da bibliografia
საქართველოს ისტორიისა და კულტურის ძეგლთა აღწერილობა - ტ2, 2004წ.
10. marSruti
დადგინდება;
11. bmulebi
http://www.nplg.gov.ge
|